Wohnhaus, mit 6 großzügigen Wohnungen in Emstek (Haus 1)
268.000,- bis 339.000,- EUR 49685 Emstek, Barlingweg 9 | Eigentumswohnung - Mehrfamilienhaus - Neubauwohnung | 68,45 m² bis 88,48m² |Beschreibung
Wohnhaus, mit 6 großzügigen Wohnungen in Emstek
Lage:
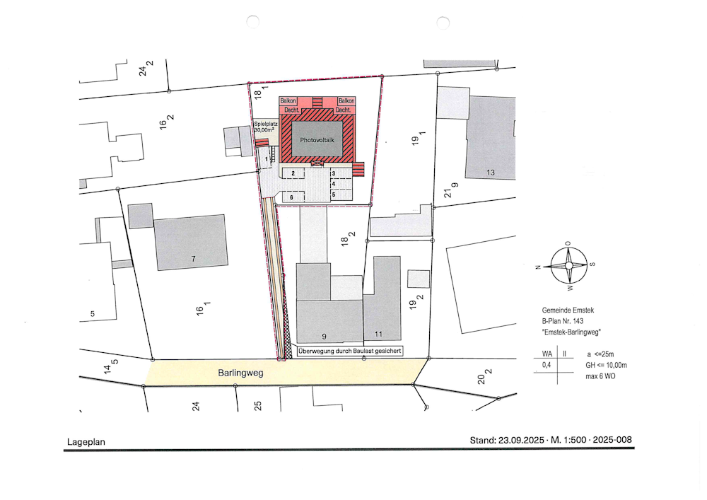
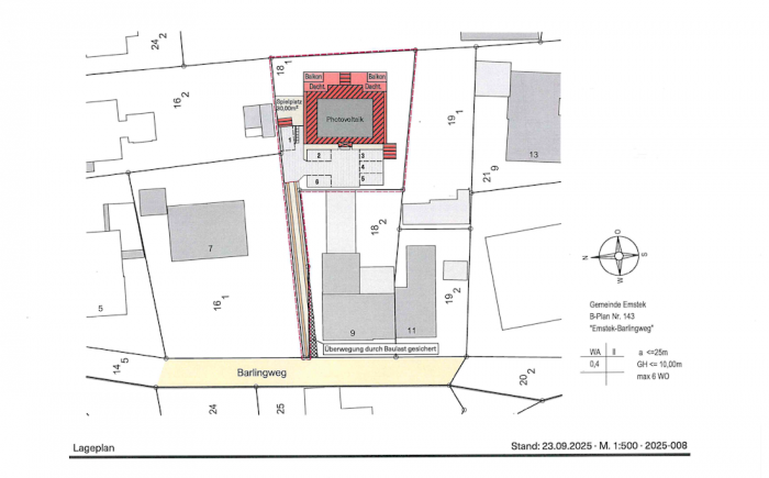
49685 Emstek, Barlingweg 9, Haus 1
Beschreibung:
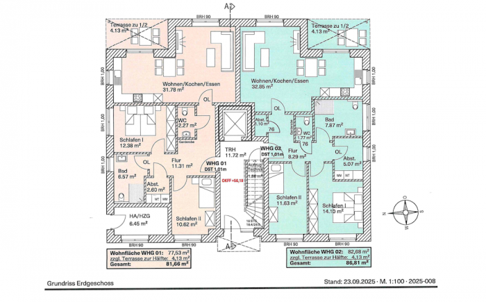
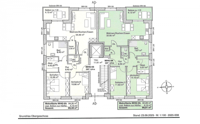
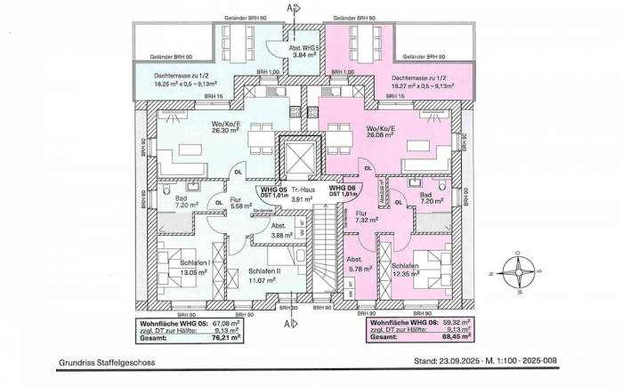
Auf einem 862 m² großen Grundstück wird ein Wohnhaus mit 6 großzügigen Wohnungen erstellt.
Ausstattung:
Wohnhaus mit Flachdach. Außenfassade verklinkert. Außenfassade verklinkert und Staffelgeschoss mit umlaufender Putzfassade. Außentüren und Fenster aus Kunststoff.
Das Objekt verfügt über einen Aufzug.
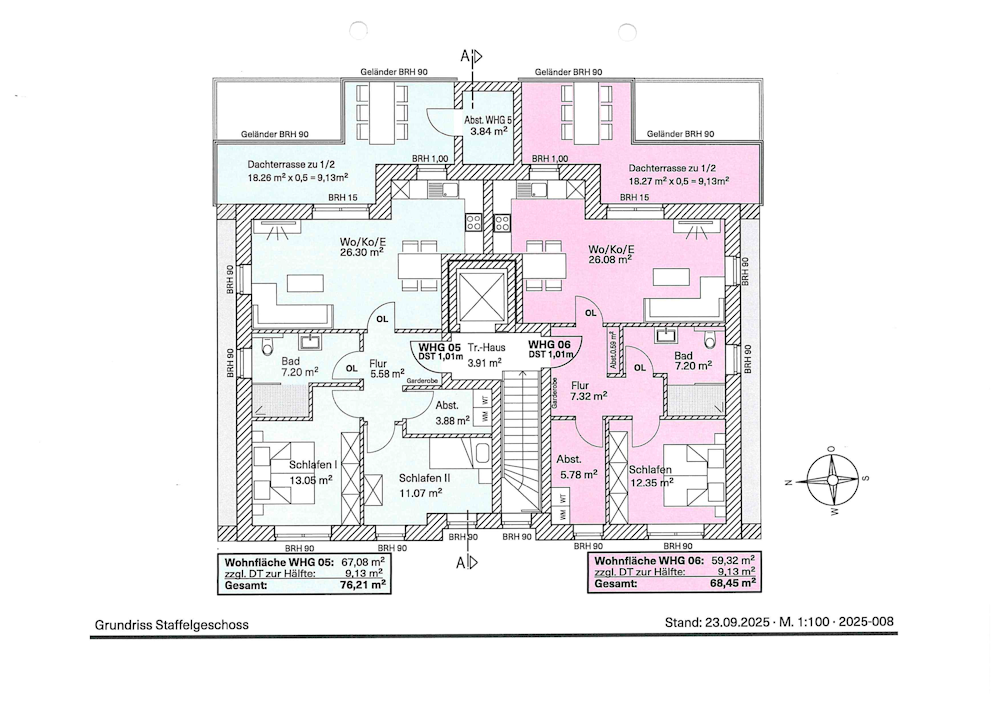
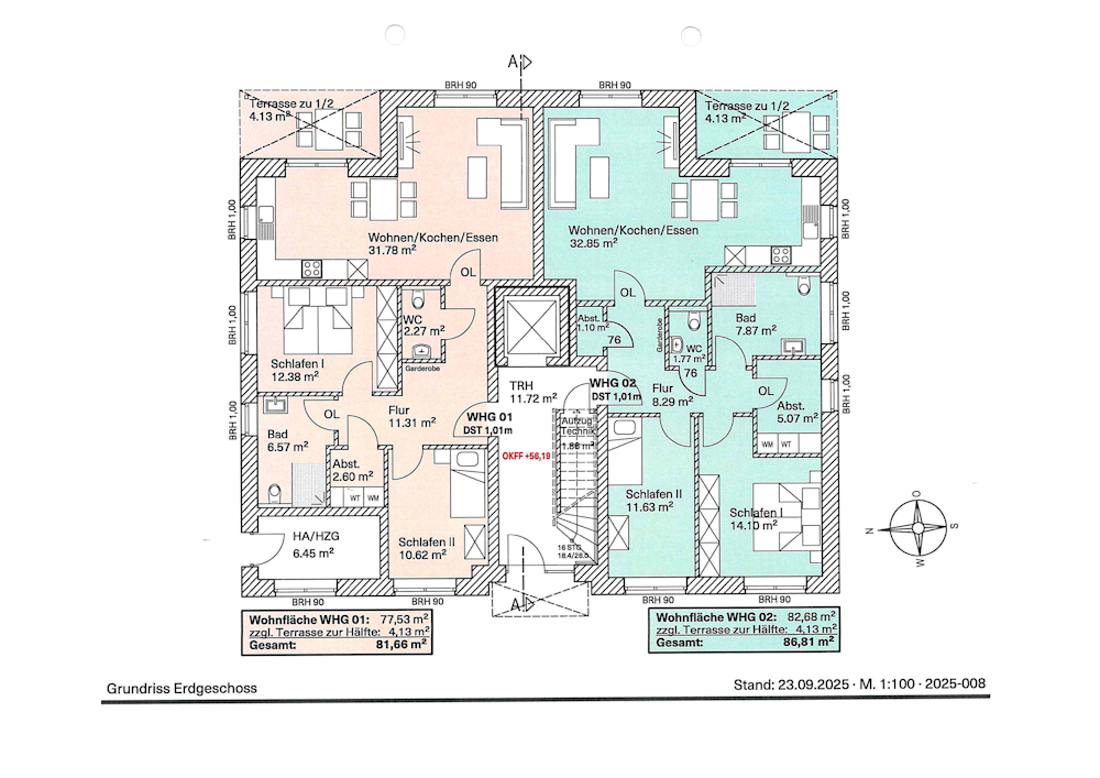
Größe/Aufteilung:
Alle angegebenen Flächen sind nach DIN berechnet. Putzflächen sind entsprechend abgezogen.
Details
| Angebots-ID: | 4007 |
| Kaufpreis: | 268.000,- bis 339.000,- EUR |
| Wohnfläche: | 68,45 m² bis 88,48 m² |
| Grundstücksfläche: | 862 m² |
| Gesamtfläche: | 68,45 m² bis 88,48 m² |
| Baujahr: | vorauss. Feb 2026 |
| Objektzustand: | NEU |
| Verfügbar ab: | Feb/März 2027 |
| Sonstige Angaben: | Eigene Wünsche können noch eingebracht werden |
| Im Festpreis nicht enthalten: | * Notar- und Gerichtskosten * Grunderwerbsteuer * Maler- und Bodenbelagsarbeiten (siehe Mehrpreise), die angegebenen Mehrpreise sind gültig, wenn die Arbeiten mit im Kaufvertrag vereinbart werden. Werden die Arbeiten zu einem späteren Zeitpunkt beauftragt, erhöht sich der Preis um 19 Prozent.) |
Merkmale
Aufzug
Stellplatz
Balkon
Terrasse
Adresse
Hier die genaue Adresse.
Barlingweg 9
49685 Emstek
Deutschland










